
View Larger Map Printable
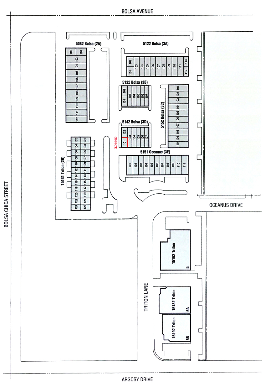
The Bolsa Business Park, LLC - Address list.
- 5122 Bolsa Ave
- 5132 Bolsa Ave
- 5142 Bolsa Ave (Office)
- 5152 Bolsa Ave
- 5182 Bolsa Ave
- 5151 Oceanus Dr
- 15131 Triton Ln
- 15162 Triton Ln
- 15182 Triton Ln
- 15192 Triton Ln
Units Available call